

Suman ya 50 obras a menos de 4 meses de haber arrancado la administración de Munguía buscando combatir el rezago que existe en vialidades

La selección mexicana de beisbol logró su mejor participación en la historia del certamen pero no pudo superar el encuentro previo a la gran final

El Sindicato Nacional de Médicos japoneses anunciaron que quieren evitar que surja una nueva cepa en la cita olímpica. Japón podría ampliar el estado de emergencia.

El presidente del COI visitará la ciudad japonesa el próximo 12 de julio después de que se cancelase su viaje de este mes de mayo por el estado de emergencia en Japón.

A tres meses de iniciar los Juegos Olímpicos el país anfitrión ha declarado un nuevo estado de emergencia

Medios locales anuncian una subida del mar de aproximadamente un metro en la costa de Miyagi pocos minutos después del movimiento telúrico

El temblor fue localizado a unos 70 kilómetros al noreste de la localidad de Namie, prefectura de Fukushima, mientras el foco a 60 kilómetros de profundidad

El primer ministro japonés Yoshihide Suga reiteró que Japón seguirá adelante con la preparación de los Juegos pese al aumento de contagios en el país y en Tokio.

La Organización Mundial de la Salud notificó que ha detectado una nueva variante del coronavirus en Japón. Así mismo, advierte que estas mutaciones presentan una mayor capacidad de transmisión que podría colapsar a las instituciones de salud en el mundo.

La Gobernadora de Tokio y otros mandatarios de zonas aledañas, solicitaron al Ejecutivo Central instaurar un estado de emergencia que les permita imponer restricciones más estrictas ante el récord de contagios que se ha registrado en los últimos días.

El Tata cumplió 22 partidos al frente del Tri y lo hizo con victoria frente a Japón, con la cual llegó a 20 victorias y lo colocó como el más ganador de los últimos cinco procesos mundialistas

El canciller Sebastian Kurz anunció la medida tras el aumento de contagios por COVID-19 en aquel país, sede del encuentro del Tri, en las últimas semanas.

El Tri se medirá ante sus similares de Corea y Japón, los próximos 14 y 17 de noviembre en Austria. La base del equipo son los “europeos”

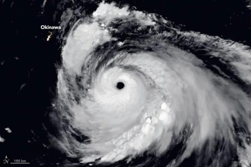
El temporal violento ha provocado ya cortes del suministro de luz, y la cancelación de miles de vuelos. Se estima que el tifón \"dios marino\" supere todos los records de intensidad

Ya es oficial: Japón ha retirado su candidatura para albergar el Mundial de fútbol femenino de 2023. Quedan sólo dos candidaturas: la de Australia y Nueva Zelanda y la de Colombia.

En Japón ya utilizan una aplicación para rastrear personas con Covid-19